REF#Vd 136407 / Dzia³ka przemysłowa / dzielnica Promishlena zona - Yug / Vidin / Widińskie wojewódstwo / Bulgaria / Sprzedaz Na mapie

Całkowita powierzchnia
55395 m2

Cena
1 661 850 €
30 €/m2
Zapytanie o więcej informacji lub oględziny
Pakiet informacyjny
Umeblowanie
Nieumeblowane
Odległości
Ostatnieia aktualizacja
02.12.2025 r.
Odległości od nieruchomości do innych ważnych obiektów
Informacje administracyjne dotyczące oferty
Tekst został automatycznie przetłumaczony przez oprogramowanie i może zawierać nieścisłości.
Możesz zobaczyć tekst w oryginalnym języku lub przetłumaczyć na inne języki:
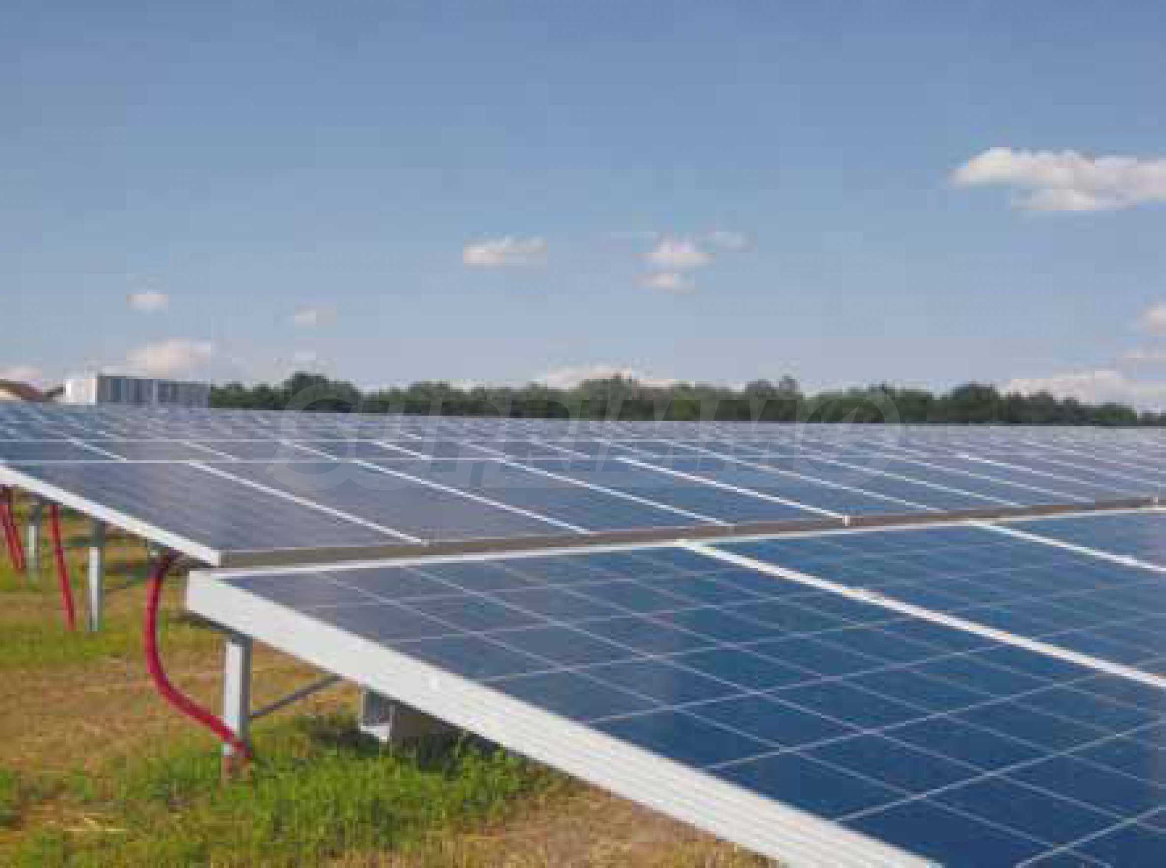
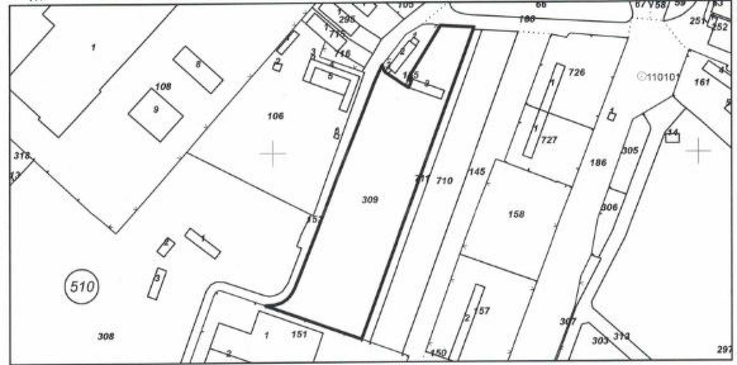
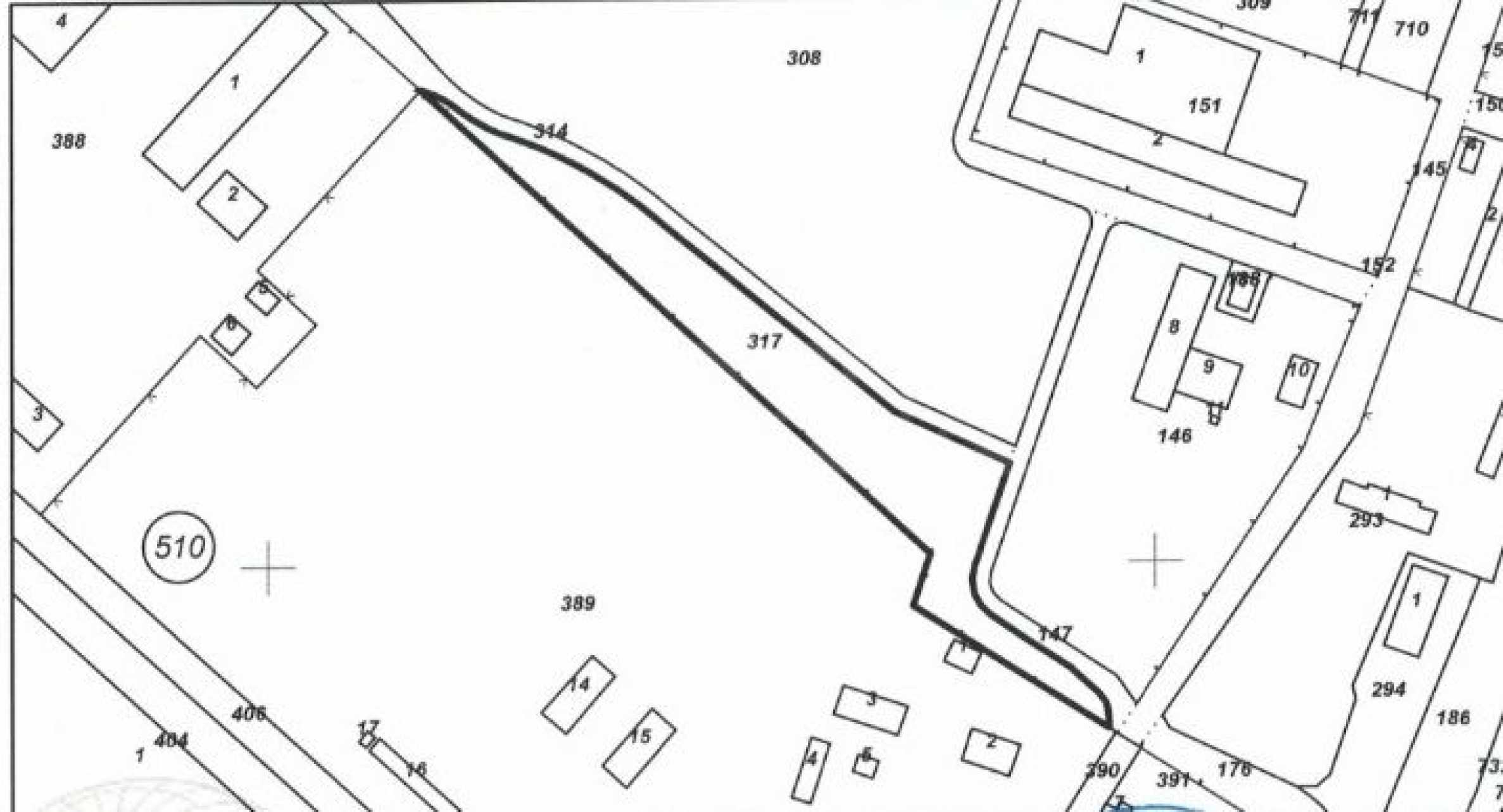
Oferujemy na sprzedaż imponującą i przestronną działkę położoną w Południowej Strefie Przemysłowej w Widyniu. Nieruchomość składa się z trzech mniejszych działek o łącznej powierzchni 55 395 metrów kwadratowych, co stwarza znaczne możliwości zagospodarowania.
Projekt dla tej nieruchomości obejmuje budowę parku fotowoltaicznego o mocy 5 megawatów. Dla wygody przyszłych inwestorów, obecnie obowiązuje oświadczenie i została wydana umowa przedprzyłączeniowa, co oznacza, że uzyskano wszystkie niezbędne pozwolenia na realizację projektu.
Teren jest płaski i oferuje dogodny dojazd drogą asfaltową, co jest niezbędne dla logistyki i działalności operacyjnej. Oprócz parku fotowoltaicznego, nieruchomość oferuje również elastyczne możliwości alternatywnego wykorzystania, takie jak baza logistyczna, produkcja lub magazynowanie.
Lokalizacja jest strategicznie korzystna, z szybkim dostępem do głównej drogi łączącej miasto z ważnymi szlakami handlowymi i transportowymi, w tym z główną trasą Sofia-Widin.
Ta działka stanowi doskonałą okazję inwestycyjną dla przedsiębiorców i inwestorów poszukujących perspektywicznej lokalizacji do realizacji swojego biznesu.
Czekamy na Państwa zapytanie.
Jeśli chcesz umówić się na obejrzenie interesującej Cię nieruchomości lub odwiedzić jedno z naszych biur, skontaktuj się z nami. Aby umówić się na spotkanie lub oględziny, zadzwoń pod numer telefonu podany w ogłoszeniu lub wyślij zapytanie e-mailem. Nasz konsultant pomoże Ci w ustaleniu wszystkich niezbędnych szczegółów i ustali dogodny termin.
Szukasz odpowiedniej nieruchomości dla siebie?
Skontaktuj się z nami i opowiedz nam o swoich potrzebach i preferencjach. Nasz zespół przeprowadzi dogłębną analizę rynku, aby zaoferować Ci nieruchomości idealnie odpowiadające Twoim kryteriom. Posiadamy wyjątkowe portfolio wysokiej jakości, ekskluzywnych domów, dostępnych wyłącznie dla naszych klientów. Aby być pierwszym, który otrzyma o nich informacje – skontaktuj się z nami.
Usługi dodatkowe
Jako ceniony klient naszej firmy, będziesz miał przywilej korzystania z usług naszego doświadczonego zespołu prawnego całkowicie bezpłatnie. Ponadto oferujemy kompleksowe rozwiązania, w tym ubezpieczenia nieruchomości, bezpłatne doradztwo finansowe, a także korzystne warunki finansowania. Nasze usługi obejmują również odsprzedaż, wynajem i zarządzanie nieruchomościami. Zapewniamy wysokiej jakości remonty i wyposażenie wnętrz za pośrednictwem wyspecjalizowanych firm wchodzących w skład naszej grupy kapitałowej i będących naszymi wieloletnimi partnerami.
Projekt dla tej nieruchomości obejmuje budowę parku fotowoltaicznego o mocy 5 megawatów. Dla wygody przyszłych inwestorów, obecnie obowiązuje oświadczenie i została wydana umowa przedprzyłączeniowa, co oznacza, że uzyskano wszystkie niezbędne pozwolenia na realizację projektu.
Teren jest płaski i oferuje dogodny dojazd drogą asfaltową, co jest niezbędne dla logistyki i działalności operacyjnej. Oprócz parku fotowoltaicznego, nieruchomość oferuje również elastyczne możliwości alternatywnego wykorzystania, takie jak baza logistyczna, produkcja lub magazynowanie.
Lokalizacja jest strategicznie korzystna, z szybkim dostępem do głównej drogi łączącej miasto z ważnymi szlakami handlowymi i transportowymi, w tym z główną trasą Sofia-Widin.
Ta działka stanowi doskonałą okazję inwestycyjną dla przedsiębiorców i inwestorów poszukujących perspektywicznej lokalizacji do realizacji swojego biznesu.
Czekamy na Państwa zapytanie.
Jeśli chcesz umówić się na obejrzenie interesującej Cię nieruchomości lub odwiedzić jedno z naszych biur, skontaktuj się z nami. Aby umówić się na spotkanie lub oględziny, zadzwoń pod numer telefonu podany w ogłoszeniu lub wyślij zapytanie e-mailem. Nasz konsultant pomoże Ci w ustaleniu wszystkich niezbędnych szczegółów i ustali dogodny termin.
Szukasz odpowiedniej nieruchomości dla siebie?
Skontaktuj się z nami i opowiedz nam o swoich potrzebach i preferencjach. Nasz zespół przeprowadzi dogłębną analizę rynku, aby zaoferować Ci nieruchomości idealnie odpowiadające Twoim kryteriom. Posiadamy wyjątkowe portfolio wysokiej jakości, ekskluzywnych domów, dostępnych wyłącznie dla naszych klientów. Aby być pierwszym, który otrzyma o nich informacje – skontaktuj się z nami.
Usługi dodatkowe
Jako ceniony klient naszej firmy, będziesz miał przywilej korzystania z usług naszego doświadczonego zespołu prawnego całkowicie bezpłatnie. Ponadto oferujemy kompleksowe rozwiązania, w tym ubezpieczenia nieruchomości, bezpłatne doradztwo finansowe, a także korzystne warunki finansowania. Nasze usługi obejmują również odsprzedaż, wynajem i zarządzanie nieruchomościami. Zapewniamy wysokiej jakości remonty i wyposażenie wnętrz za pośrednictwem wyspecjalizowanych firm wchodzących w skład naszej grupy kapitałowej i będących naszymi wieloletnimi partnerami.
Zobacz tekst w innych językach (tłumaczenie automatyczne)
Lokalizacja (absolutnie poprawnie)
To jest absolutnie dokładna lokalizacja nieruchomości/kompleksu. Możesz powiększać lub pomniejszać skalę mapy, a także poruszać się po niej za pomocą myszki lub kontrolek znajdujących się na samej mapie.
Nasze top oferty do sprzedaz Vidin, Bulgaria
Nieruchomości według rejonu, Vidin
- Nieruchomości w dzielnica"Bononiya"
- Nieruchomości w dzielnica"Promishlena zona - Zapad"
- Nieruchomości w dzielnica"Center"
- Nieruchomości w dzielnica"Krum Buchvarov"
- Nieruchomości w dzielnica"Promishlena zona - Sever"
- Nieruchomości w dzielnica"Geo Milev"
- Nieruchomości w dzielnica"Vasil Levski"
- Nieruchomości w dzielnica"Petko Karavelov"
- Nieruchomości w dzielnica"Promishlena zona - Yug"
- Nieruchomości w dzielnica"Vida 1"


ORIGINAL: